When “Fair” Isn’t Fair: Understanding OFA Hip Scores Across Breeds

Every breeder, whether new or seasoned, has felt that pang of confusion. The OFA report arrives, you open it, and there it is in black and white: “Fair.” You stare at the word, wondering what exactly the radiologist saw that you missed.

You know the hips weren’t dysplastic. You know the film was clean, the positioning was perfect, and the dog was in peak condition. You even know the parents have excellent scores. And yet, the grade feels more like a shrug than an answer.

This isn’t just a hypothetical. A colleague recently shared a radiograph of a beautiful Bernese girl. The image showed round femoral heads, strong coverage, and a clean joint space with no signs of remodeling or arthritis. Most breeders would look at those hips and call them good—maybe even borderline excellent. So why did the official report come back stamped “Fair”?

The truth is that hip evaluation is not a one-size-fits-all science. This is especially true for breeds with dramatically different structures, growth patterns, and genetic histories, such as Bernese Mountain Dogs, Australian Shepherds, Poodles, and Golden Retrievers. These are the foundational breeds behind some of our most beloved doodles, and each brings its own orthopedic story to the table.

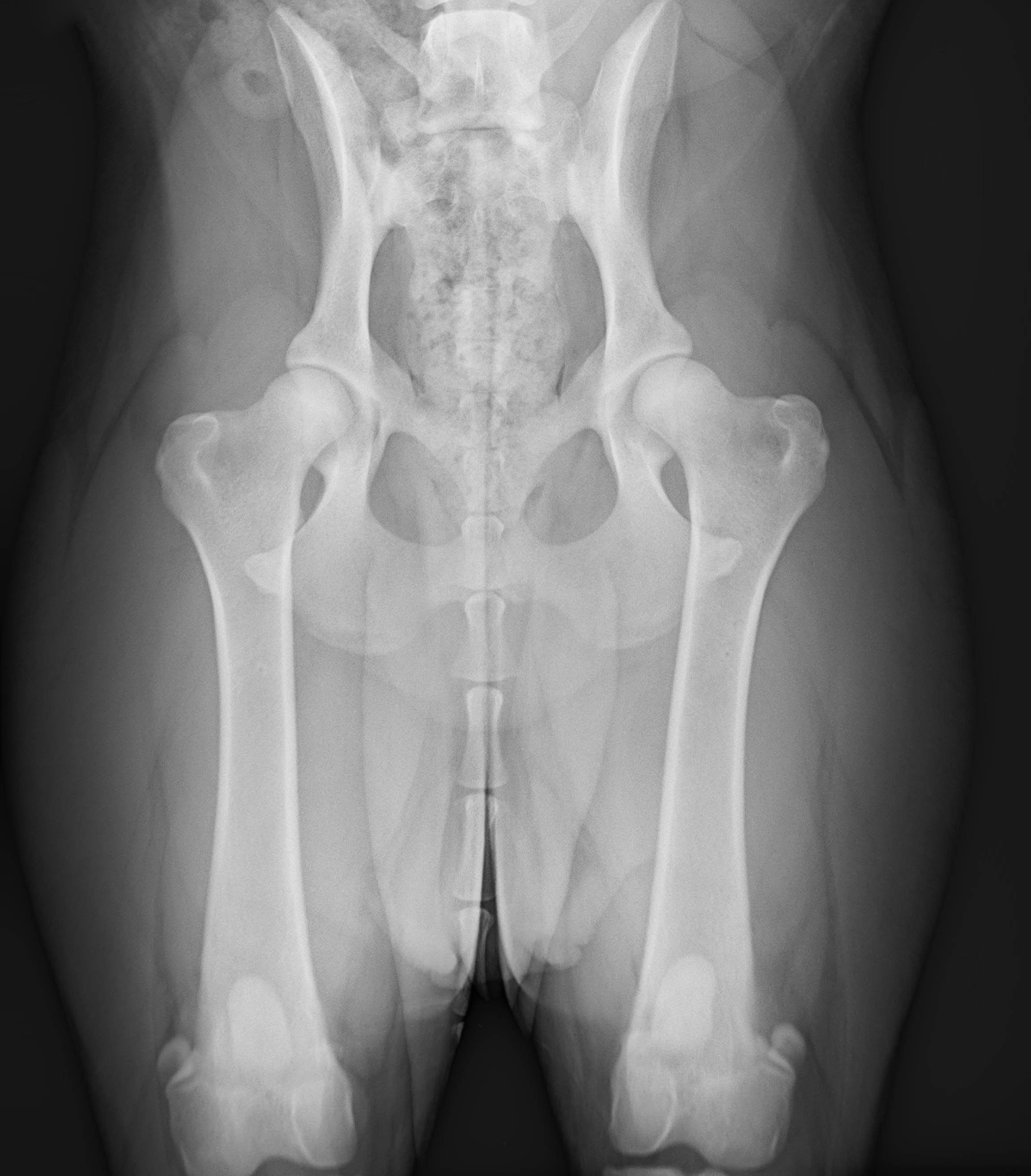
OFA hip radiograph X-ray showing canine hip joint structure for evaluation - Stokeshire Designer Doodles educational content

A Breed-Specific Look at Hip Health

At Stokeshire, we believe in a breeding philosophy backed by academic rigor and a deep respect for these animals. Understanding the nuances of each breed is central to our work. It’s also why applying a universal standard to hip scores can be misleading.

Bernese Mountain Dogs: Beautiful but Biomechanically Fragile

Bernese Mountain Dogs are famous for two things: their gentle, loving temperament and their orthopedic fragility. These gentle giants were not structurally engineered for longevity, and the breed unfortunately carries some of the highest rates of hip dysplasia among modern purebreds.

Several factors contribute to this, including wider hips, rapid weight gain, heavy bone structure, and slower-closing growth plates. Together, these traits can create more hip laxity even in genetically sound dogs. For a Bernese, a “Fair” score may actually represent an individual outperforming the breed’s norm. A “Good” in a Berner is often equivalent to another breed’s “Excellent.” These scores must be interpreted through the lens of the breed, not against an abstract standard.

Australian Shepherds: Tight Hips and an Athletic Build

On the other end of the spectrum are Australian Shepherds. These dogs are known for their deep acetabulum (hip socket), tight joint space, and strong femoral head coverage. Their compact, athletic frames are built for performance.

Aussies typically score in the Good or Excellent range. When they receive a Fair, it is often due to subtle issues such as slight rotation during positioning or a small amount of laxity that only appears under full sedation. An Aussie can appear perfectly sound when awake, but the OFA evaluation reveals passive stability rather than functional movement.

Poodles: Light, Elegant, and Built for Soundness

Standard Poodles are, across the board, leaner, lighter, and more biomechanically symmetrical than heavier breeds. They are built for longevity and naturally score Excellent more often than Bernese or Goldens. Their elegant structure provides a genuine orthopedic advantage.

This is precisely why intentional hybrid programs, like ours at Stokeshire, incorporate Poodle influence to stabilize hips in heavy mountain-dog lines. The introduction of Poodle genetics helps create a sturdier foundation. A “Fair” score in a Poodle is uncommon and often points to positioning artifact rather than a true structural concern.

Golden Retrievers: The Middle Ground of Laxity

Golden Retrievers fall somewhere between the heavy-laxity Bernese and the tight-hipped Aussie. They often exhibit soft tissue laxity, meaning the bones themselves can be well formed, but the surrounding connective tissues allow for slightly more movement in the joint.

This is where OFA grading becomes subjective. One radiologist might interpret a small gap as normal breed variation, while another may flag it as early laxity. The very same film could be stamped “Good” by one reviewer and “Fair” by another.

Why a Good Dog Gets a "Fair" Score

So, why would a Bernese, Golden, or a doodle cross with beautiful, clean hips receive a Fair grade? From our experience, it often comes down to a few common reasons that have little to do with dysplasia or long-term health.

  1. Slight Acetabular Shallowness: Inherited from the Bernese side, this is a common and often normal trait that is not clinically concerning in many hybrid lines.

  2. Subtle Laxity Under Sedation: The dog may appear perfectly sound and move flawlessly, but the OFA evaluation assesses passive laxity, not functional stability.

  3. Radiologist Variability: OFA uses three independent reviewers. Some are more conservative, others more generous. A Fair score could easily have been a Good with a different set of eyes.

  4. Growth Stage: A Bernese-cross at two years old may still be maturing. Mountain dog breeds mature slowly, and their joints continue to tighten and settle well past the two-year mark.

  5. A Heavier Build: More mass equals more torque on the joints, which can result in more visible laxity on a radiograph.

None of these factors automatically equal dysplasia. They do not predict arthritis or imply a dangerous breeding risk, and they certainly shouldn't tarnish a wonderful dog's reputation.

The Stokeshire Philosophy: Breeding for Function, Not Labels

This is where our approach at Stokeshire diverges from traditional thinking. We don’t breed for labels; we breed for function. A dog with OFA Fair hips that are symmetrical, well-seated, and free of remodeling may be a far better breeding candidate than a dog with an OFA Excellent rating from a line prone to orthopedic collapse.

We believe in a holistic, multimodal approach to orthopedic decision-making. Our dedication is reflected in our methods:

  • Intentional Hybridization: We use Poodle and Aussie influence to strengthen joint integrity in our Golden and Bernese lines.

  • Advanced Diagnostics: We use PennHIP when available for a more objective measure of laxity.

  • Longitudinal Observation: We monitor the health and movement of our breeding dogs over their entire lives.

  • Functional Analysis: We prioritize real-world soundness. How a dog moves, plays, and lives matters most.

We don’t rely on a single snapshot evaluation from one day. We build a comprehensive picture of health over time, combining genetic knowledge with practical observation.

Final Thoughts: A Fair Score is Not a Failing Grade

A "Fair" hip score does not mean "bad hips," especially not in Bernese, Golden Retrievers, and their doodle crosses like Australian Mountain Dogs, Bernedoodles, and Golden Mountain Doodles. In these breeds, a Fair often reflects breed structure, normal laxity, or the subjective nature of radiographic review.

At Stokeshire, we believe that hip evaluations should empower breeders, not paralyze them. We also believe that transparency helps our families understand a truth that responsible breeders already know: functional health is more important than a label. Genetics, structure, and movement matter. And when guided with intention and expertise, hybrid vigor creates stronger, healthier dogs for generations to come.